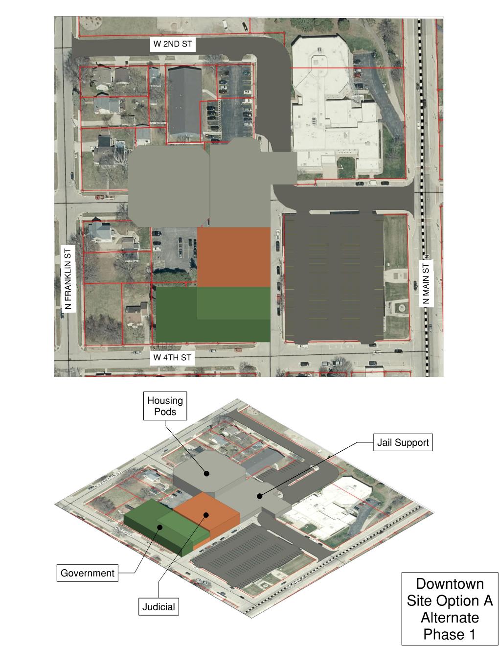
We’re excited to share some newly revealed plans made public at last month’s Shawano County board meeting as Venture’s master planning work on a new Courthouse, Justice Center, and Jail were all unveiled. Floor plans and a construction vote are expected in early 2026.
Venture Architects Principal and Vice President, Cory Beyer was quoted saying, “In that connection between the justice center and the existing jail is basically a sally port … and jail support,” Beyer said. “We’d have a new kitchen, laundry area, new intake and then a 15-bed housing pod.”
For a deeper dive on the Shawano County Courthouse and the full planning, read the article at NEW Media, Wisconsin.
